1325 1335 15th Street, Los Osos, CA 93402 (MLS # SC25088934)

Price $157,000
Status Active
Beds 0
Baths 0 Bath
Home size n/a
Lot Size 12,502 sqft
Days on Market 141
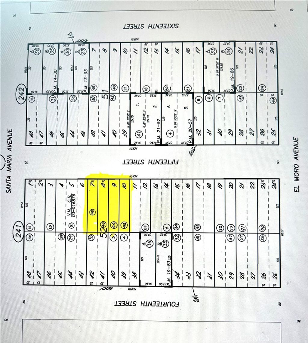
This is an opportunity to purchase a 12,500 sq. ft. unimproved parcel in the bayside community of Los Osos. This is a bulk sale consisting of four adjoining 25' X 125' lots to be sold together, equaling 100' of street frontage. With distant views of the bay, sand dunes, and surrounding hills from street level, it is sure to be a terrific homesite when building is permitted. You'll be a part of a wonderful community offering a coastal lifestyle along with all the amenities this area has to offer. One of the lots is #211 on the Los Osos Waitlist for Building Permits and lot size says 12,500 sq ft. Check with SLO County Dept of Planning & Building to investigate the potential of building on vacant lots in Los Osos. You'll find some great information at https://www.slocounty.ca.gov/departments/planning-building/grid-items/communities-villages/los-osos
Property Type(s): Lot/Land/Acreage
Last Updated 7/30/2025 Tract Town of El Moro(680)
Year Built 0 Community OSOS - Los Osos
County San Luis Obispo

Price History

Prior to Jul 30, '25 $169,000
Jul 30, '25 - Today $157,000

Additional Details

AREA OSOS - Los Osos
LOT 0.287 acre(s)
LOT DIMENSIONS 100' X 125'
SEWER None
SUBDIVISION Town of El Moro(680)
UTILITIES None, Sewer Not Available, Water Not Available
VIEW Yes
VIEW DESCRIPTION Mountain(s)
WATER None

Location

 

Contact us about this Property

 / 
We respect your online privacy and will never spam you. By submitting this form with your telephone number you are consenting for Amy Daane to contact you even if your name is on a Federal or State "Do not call List".

Listed with Century 21 Masters

The multiple listing data appearing on this website, or contained in reports produced therefrom, is owned and copyrighted by California Regional Multiple Listing Service, Inc. ("CRMLS") and is protected by all applicable copyright laws. Information provided is for viewer's personal, non-commercial use and may not be used for any purpose other than to identify prospective properties the viewer may be interested in purchasing. All listing data, including but not limited to square footage and lot size is believed to be accurate, but the listing Agent, listing Broker and CRMLS and its affiliates do not warrant or guarantee such accuracy. The viewer should independently verify the listed data prior to making any decisions based on such information by personal inspection and/or contacting a real estate professional.

Based on information from California Regional Multiple Listing Service, Inc. as of 10/3/25 1:44 PM PDT and /or other sources. All data, including all measurements and calculations of area, is obtained from various sources and has not been, and will not be, verified by broker or MLS. All information should be independently reviewed and verified for accuracy. Properties may or may not be listed by the office/agent presenting the information

This IDX solution is (c) Diverse Solutions 2025.

Email a Friend

LATEST CENTRAL COAST LISTINGS

 

LATEST AVE PROPERTIES

1079 Pauline Way, San Luis Obispo 93401-CONDO

1079 Pauline Way, San Luis Obispo 93401-CONDO

  • Beds: 3
  • Baths: 3
  • 1759 sq ft
  • Condo, Single Family Home
  • $925,000

1455 Via Vista, Nipomo, CA 93444 – Trilogy / Monterey

  • Beds: 3
  • Baths: 2
  • 1932 sq ft
  • Single Family Home
  • $1,448,000